All Inclusive Tour

Book Now

Tour Overview

Get ready for the ultimate island adventure with our All Inclusive Tour! Your adventure begins in the picturesque fishing village of Jonesville, or at the iconic BJ’s Backyard (Salty Dawg), a favorite local and expat hangout.

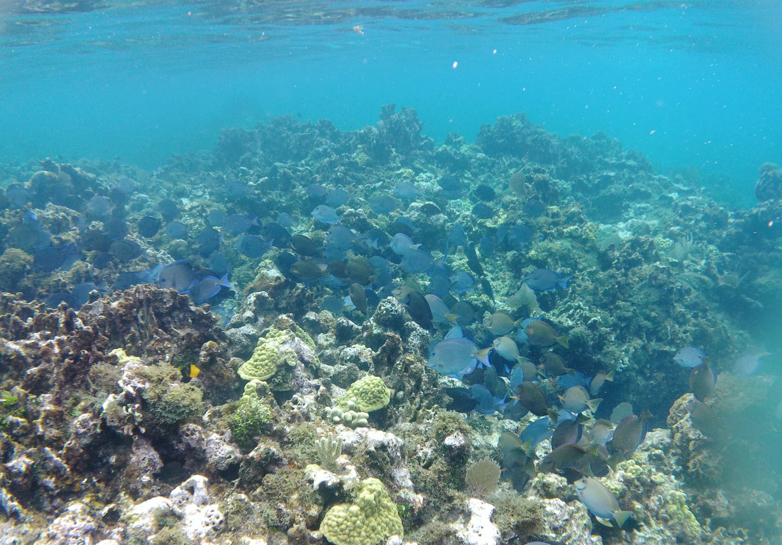
From there, dive into an unforgettable day: swim alongside friendly nurse sharks and stingrays at Pigeon Cay, enjoy multiple snorkeling stops on vibrant reefs, and explore Roatan’s famous mangrove tunnels on a guided tour from South to North.

Continue with East End sightseeing, discover marine life at the Turtle & Fish Sanctuary, and savor a delicious lunch with complimentary beverages. This tour is the perfect mix of adventure, relaxation, and authentic island flavor.

Tour Photo 1 Tour Photo 2 Tour Photo 3 Tour Photo 4 Tour Photo 5 Tour Photo 6 Tour Photo 7 Tour Photo 8 Tour Photo 9 Tour Photo 10 Tour Photo 11 Tour Photo 12 Tour Photo 13 Tour Photo 14 Tour Photo 15